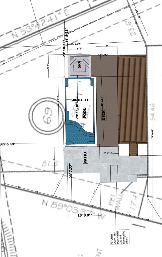
The Opulent Oasis features a fiberglass shell with both pool and spa.
With the built in grill station, large patio area, and deck, this backyard is ready for a lavish outdoor barbecue.
Sandblasted Marble, Composite Decking and in Deck Lighting and Landscaping.










